JavaScript is required for the website to function properly. Please enable JavaScript in your browser settings.
Hornstein
Bürgerservice & Politik
Bürgerservice & Politik
Bürgerservice & Politik
Schließen
Bürgermeister
Gemeindevorstand
Gemeinderat
Politik
Verwaltung
Öffnungszeiten
Neues aus Hornstein
Veranstaltungen & Termine
Amtsblatt
Förderungen & Gebühren
Online-Formulare
Gemeindeservices
Wirtschaft & Umwelt
Wirtschaft & Umwelt
Wirtschaft & Umwelt
Schließen
Alle Unternehmen
Der Hornsteiner - Gutschein
Stärkung der Betriebe
Neues von unseren Vereinen und Betrieben
Businesspark Hornstein
Medizinische Versorgung
Müllentsorgung
Gesellschaft & Freizeit
Gesellschaft & Freizeit
Gesellschaft & Freizeit
Schließen
Bildung
Gemeindeentwicklung
Generationen
Kunst
Pfarre
Partnergemeinde Gnesau
Sport & Freizeitangebot
Vereine & Organisationen
Advent in Hornstein
Digitale Amtstafel
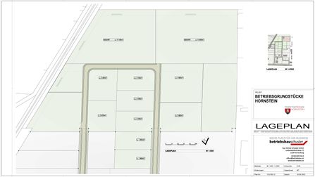
Aufschließungsgebiet - IG III Teil 3
Neue Flächen im IG III - Teil 3 - Nove površine u IP III - dio 3
Weitere 50.000m2 stehen zur Verfügung, 20.000m2 bereits projektiert: